返回

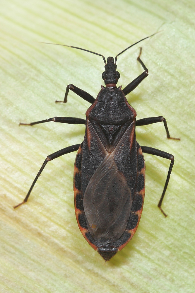
隐藏在我们身边的吸血锥蝽——广锥猎蝽

 

   广锥猎蝽体长约20mm,是为数不多叮咬人并吸血的蝽类,不幸的是它还是美洲锥虫病的传播者!广锥猎蝽吸血的同时还排出粪便,若粪便中含有美洲锥虫的卵,就有可能通过伤口感染人。美洲锥虫寄生在人体会损害心脏和消化系统,且没有有效的治疗方法,全球每年约有一万人因此丧生。达尔文在1834年考察安第斯山脉时就被一种锥猎蝽叮咬过,因而患上了南美锥虫病并持续折磨了他四十年。广锥猎蝽在我国主要分布在福建、广东、广西、海南、台湾等省,广西除桂林外13个市均有发现广锥猎蝽及疑似被叮咬者(图片中的广锥猎蝽就拍摄于南宁三中青山校区),幸运的是目前国内还没有发现美洲锥虫病患者。至于说到如何避免被广锥猎蝽叮咬的方法嘛……e……避而远之就好了!

分类:昆虫纲  半翅目  猎蝽科

图像采集地:南宁三中青山校区

广锥猎蝽
广锥猎蝽 广锥猎蝽

制作:任向明             联系gxnnrxm@163.com                                建议用IE或360安全浏览器浏览