返回

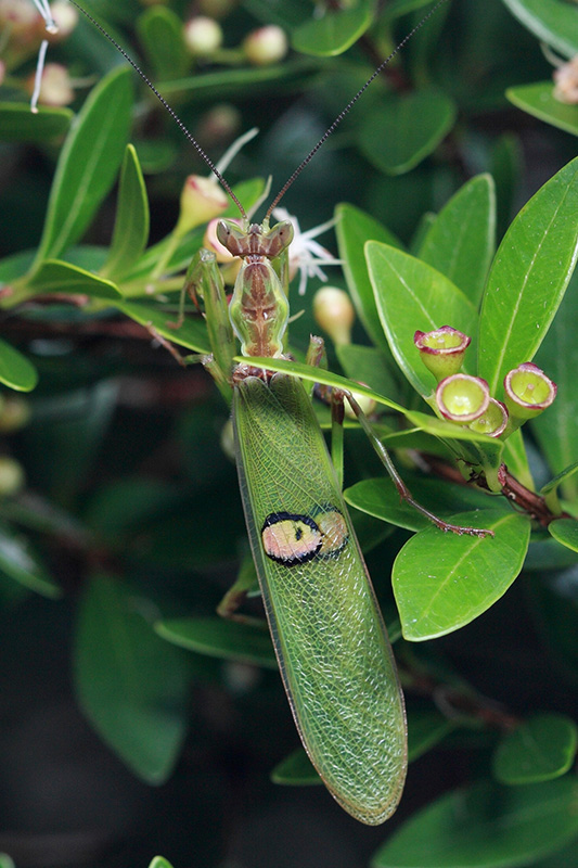
背着眼睛Logo的带刀护卫——明端眼斑螳

  

明端眼斑螳除了体型较小外,和其他螳螂一样,明端眼斑螳它也配有一对大刀,大有打平天下不平之势。与其他螳螂最大的不同是明端眼斑螳的背后有一双大眼睛,这商标式的Logo非常显眼,当它展开翅膀出示“大眼睛”时,对手会产生严重的视觉错觉,误以为这是一个身躯巨大的掠食者,立即因恐惧而逃跑,让其逃过一劫。其实,此时的明端眼斑螳内心也是瑟瑟发抖的。

分类:昆虫纲  螳螂目  花螳科

图像采集地:广西高峰森林公园

明端眼斑螳 明端眼斑螳

制作:任向明             联系gxnnrxm@163.com                                建议用IE或360安全浏览器浏览